Internacional

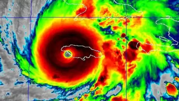
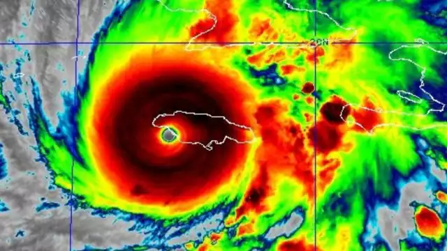
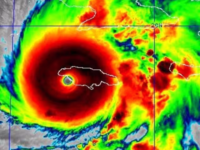
Huracán Melissa deja severos daños en Cuba, pega como categoría 3, y se dirige a Las Bahamas

Durante su paso por Cuba, el huracán Melissa causó cientos de daños dejando a miles de personas en albergues.

Huracán Melissa deja severos daños en Cuba, pega como categoría 3, y se dirige a Las Bahamas
Huracán Melissa deja severos daños en Cuba, pega como categoría 3, y se dirige a Las Bahamas / X/@NHC_Atlantic

El huracán Melissa causó decenas de muertos durante su paso por el Caribe, donde causó muchas afectaciones en Cuba, Haití y Jamaica. En estos momentos, el fenómeno ya ha bajado a categoría 1 en la escala Saffir-Simpson y sigue su camino con rumbo a las Bahamas. 

Noticia Destacada

Jamaica declara “zona catastrófica” tras paso de “Melissa”; 25 mil refugiados y alerta por inundaciones

De acuerdo con los reportes que se tienen, en estos países el huracán Melissa dejó casas destruidas, postes de luz derribados y muchos daños en los hogares. En Cuba, las autoridades han informado que muchos edificios perdieron su techo, aunque la zona este de la isla es la más afectada. Por el momento, más de 735,000 mil personas siguen en albergues. 

¿Cuál es la ruta que sigue el huracán Melissa?

El último reporte del Centro Nacional de Huracanes (NHC, por sus siglas en inglés), ha informado que el huracán Melissa ya va rumbo a las Bahamas, aunque también existe una alerta en las Bermudas y para las islas Turcas y Caicos.

"Un aviso de huracán significa que se esperan condiciones de huracán en algún punto dentro del área de aviso. Los residentes de las Bahamas deben permanecer en refugios. En Bermudas, se deben iniciar los preparativos y completarlos antes de la llegada prevista de vientos con fuerza de tormenta tropical, condiciones que dificultan o hacen peligrosas las preparaciones al aire libre"

SÍGUENOS EN GOOGLE DISCOVER: DA CLICK AQUÍ