Síguenos

Última hora

Megamarcha de transportistas amenaza a la CDMX este 29 de octubre; ¿a qué hora empieza y dónde serán los bloqueos?

Internacional

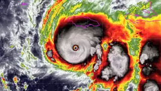
Avión cazahuracanes de EU se ve obligado a regresar tras enfrentar turbulencias extremas en el ojo del Huracán ‘Melissa’

Un avión del Escuadrón de Reconocimiento del Clima de Estados Unidos debió regresar a Curaçao tras sufrir fuertes turbulencias al ingresar al huracán ‘Melissa’, de categoría 5, que ya deja nueve muertos en el Caribe.

Aunque la aeronave no sufrió daños, la Fuerza Aérea explicó que el regreso se debe a protocolos de seguridad
Aunque la aeronave no sufrió daños, la Fuerza Aérea explicó que el regreso se debe a protocolos de seguridad / AP

Un avión cazahuracanes de la Fuerza Aérea de Estados Unidos fue obligado a regresar a su base en Curaçao luego de experimentar turbulencias más fuertes de lo normal al ingresar al ojo del Huracán ‘Melissa’, un ciclón de categoría 5 con vientos sostenidos cercanos a los 295 kilómetros por hora.

La aeronave pertenece al 53.º Escuadrón de Reconocimiento del Clima, encargado de recopilar datos atmosféricos dentro de tormentas severas.

Según el comunicado oficial, el avión “está regresando a su ubicación operativa avanzada en Curaçao después de encontrar fuertes turbulencias al ingresar al ojo del huracán”.

Huracán ‘Melissa’: máxima intensidad en el Caribe

De acuerdo con el Centro Nacional de Huracanes (NHC) de Estados Unidos, ‘Melissa’ tocó tierra en Jamaica cerca de la localidad de New Hope, en el suroeste de la isla, poco después del mediodía.

El Huracán Melissa ya ha dejado lluvias acumuladas de entre 3.8 y 7.6 metros, con máximos de hasta 10 metros,

Noticia Destacada

Huracán Melissa ya tocó tierra en Jamaica como categoría 5 y vientos de 280 km/h y lluvias récord

El NHC confirmó que se trata del huracán más intenso de la temporada atlántica 2025.

Aunque la aeronave no sufrió daños, la Fuerza Aérea explicó que el regreso se debe a protocolos de seguridad que exigen una inspección completa antes de reanudar operaciones.

Graves daños en el Caribe

El Huracán ha provocado lluvias acumuladas de hasta un metro en algunas zonas de Jamaica, lo que ha causado inundaciones repentinas y deslizamientos de tierra.

Hasta el momento, se reportan nueve personas fallecidas: tres en Jamaica, tres en Haití, dos en Panamá y una en República Dominicana.

El NHC prevé que ‘Melissa’ mantenga su fuerza extrema mientras avanza hacia el sureste de Cuba este miércoles y posteriormente a las Bahamas el jueves, con riesgos de marejadas ciclónicas e intensas lluvias en todo el Caribe occidental.

SÍGUENOS EN GOOGLE DISCOVER: DA CLICK AQUÍ

IO