Síguenos

Última hora

Inversión extranjera en México y crecimiento sostenido de exportaciones rompe récord histórico

Yucatán

Yucatán cierra otra Temporada de Huracanes libre de impacto: van 23 años sin afectaciones severas

El meteorólogo de la UADY, Juan Vázquez Montalvo, detalló que no hay probabilidad de que un Huracán se forme en el Atlántico.

Se cumplen 23 años consecutivos sin impacto directo de un Huracán intenso en la Península
Se cumplen 23 años consecutivos sin impacto directo de un Huracán intenso en la Península / Por Esto!

La Temporada de Huracanes terminó de manera anticipada para Yucatán el pasado 10 de noviembre, confirmó Juan Vázquez Montalvo, meteorólogo del Comité Institucional para la Atención de Fenómenos Meteorológicos Extremos (Ciafeme) de la Universidad Autónoma de Yucatán (UADY).

Aunque la vigilancia oficial en la cuenca del Atlántico continúa hasta el 30 de noviembre, el especialista adelantó que no existe probabilidad de que se forme algún ciclón que represente riesgo para la Península.

A un mes de que concluya el periodo 2025, Procivy subraya que la clave es permanecer informados

Noticia Destacada

Yucatán se perfila para cerrar invicto la Temporada de Huracanes 2025

“Para Yucatán ya estuvo”, expresó con tranquilidad. Si bien podría surgir un sistema débil en los próximos días, explicó que tendría poca duración y seguiría rumbo a las Antillas Menores, lejos de las costas peninsulares. Para Quintana Roo –añadió– la temporada cerrará este 20 de noviembre.

La temporada de huracanes en el Atlántico oficialmente es de junio a noviembre, con el pico de actividad entre agosto y octubre. Durante este período, las aguas cálidas del Caribe proporcionan las condiciones necesarias para la formación de ciclones tropicales.

No fallaron los pronósticos

Vázquez Montalvo detalló que este año la actividad ciclónica en el Atlántico sí cumplió con lo previsto: se formaron 17 sistemas tropicales, sólo tres de ellos de categoría mayor.

Habrá más frentes fríos en noviembre en Yucatán

Noticia Destacada

Frentes fríos en Yucatán: ¿Cuántos podrían afectar en noviembre? Esto dice Protección Civil

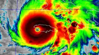
Sin embargo, sólo uno tocó tierra: el huracán Melissa, que dejó destrucción y pérdida de vidas en Jamaica, Cuba y Haití. “Fue el único de la temporada que impactó tierra, y lamentablemente causó muerte y daños severos”, recordó.

Para Yucatán, en cambio, este cierre deja un dato relevante: ya son 23 años consecutivos sin el impacto directo de un huracán de gran intensidad.

El último fue Isidore, en septiembre de 2002, un evento que marcó a la población y dejó daños considerables en todo el estado.

La tranquilidad con que concluye la temporada no borra la memoria de aquel ciclón, pero sí reafirma –por ahora– un periodo prolongado de respiro para la entidad.