Síguenos

Última hora

Inauguración Milano Cortina 2026 en vivo: sigue todo sobre la apertura de los JJ.OO. de Invierno

Internacional

Huracán Melissa deja a Jamaica en ruinas: 70% del país sigue sin electricidad tras su devastador paso

El Huracán Melissa golpeó Jamaica con vientos de 300 km/h, dejando al país en estado de desastre. Más del 70% de la isla continúa sin energía eléctrica. Aquí los estragos y avances en la recuperación.

El primer ministro jamaiquino, Andrew Holness, declaró al país como “zona de desastre”, mientras continúa la evaluación de daños
El primer ministro jamaiquino, Andrew Holness, declaró al país como “zona de desastre”, mientras continúa la evaluación de daños / AP

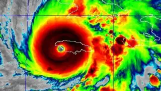
El Huracán Melissa, ya degradado a categoría 2 en la escala Saffir-Simpson, continúa dejando un rastro de destrucción en el Caribe, luego de impactar a Jamaica, Cuba, Haití y la República Dominicana. Aunque ahora se dirige hacia Bermudas, las afectaciones en Jamaica aún son cuantiosas.

Melissa, el huracán más fuerte del Atlántico en casi un siglo

El Centro Nacional de Huracanes de Estados Unidos (NHC) reportó que Melissa alcanzó vientos sostenidos de 300 km/h al tocar tierra en Jamaica el pasado 28 de octubre, siendo catalogado como el huracán más intenso del Atlántico en casi 100 años.

El primer ministro jamaiquino, Andrew Holness, declaró al país como “zona de desastre”, mientras continúa la evaluación de daños. Una de las zonas más afectadas fue St. Elizabeth, donde casas colapsadas, árboles caídos y caminos bloqueados muestran la magnitud de la devastación.

Sin electricidad y con dificultades de comunicación

A más de 48 horas del impacto, cerca del 70 por ciento de la isla sigue sin servicio eléctrico, lo que ha dificultado la comunicación entre residentes y sus familiares fuera del país. Autoridades locales han solicitado paciencia mientras avanzan los trabajos de reparación.

Huracán Melissa deja severos daños en Cuba, pega como categoría 3, y se dirige a Las Bahamas

Noticia Destacada

Huracán Melissa deja severos daños en Cuba, pega como categoría 3, y se dirige a Las Bahamas

Afectaciones en aeropuertos y reanudación gradual de vuelos

El Aeropuerto Internacional Sir Donald Sangster, en Montego Bay, sufrió daños en la terminal, pero mantiene intacta la pista. Se prevé que reanude operaciones de forma gradual. Por su parte, el Aeropuerto Internacional Norman Manley en Kingston ya opera con normalidad.

Imágenes muestran el antes y después de la catástrofe

Fotografías aéreas y satelitales compartidas en redes sociales revelan el dramático cambio en zonas como New Hope, donde la diferencia entre el estado previo y posterior al paso de Melissa es abismal.

La comunidad internacional, incluida la ONU, ha comenzado a movilizar recursos para atender la emergencia humanitaria que se vive en la isla caribeña.

SÍGUENOS EN GOOGLE DISCOVER: DA CLICK AQUÍ

IO