El Tiempo

¡Por fin! Mañana termina la temporada de huracanes

Durante la temporada de huracanes de 2024, el sureste de México fue afectado por varios huracanes significativos, desde el 1 de junio y hasta el 30 de noviembre

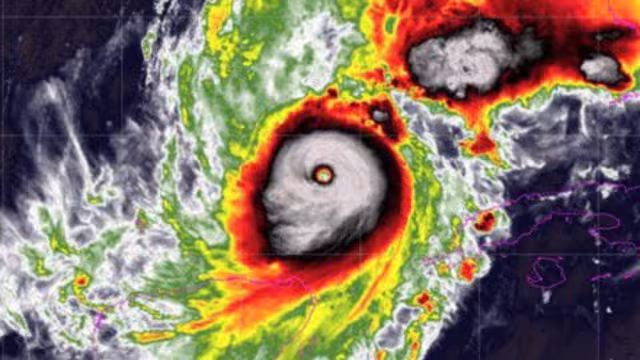
huracán Claudia fue uno de los eventos más significativos de la temporada
huracán Claudia fue uno de los eventos más significativos de la temporada / Especial

La temporada de huracanes en el Atlántico de 2024 llega a su fin con un saldo mixto de afectaciones y fenómenos meteorológicos que no llegaron a formarse. De acuerdo con el último informe del Centro Nacional de Huracanes (NHC, por sus siglas en inglés), este año se registraron 12 huracanes en total, de los cuales 4 alcanzaron la categoría de huracán mayor, es decir, de categoría 3 o superior.

Noticia Destacada

Clima en Yucatán 30 de noviembre: El mes cerrará con el Frente Frío 11

Aunque la temporada estuvo marcada por varios eventos extremos, las previsiones iniciales del NHC señalaron una mayor actividad que finalmente no se materializó, con varios sistemas que no lograron intensificarse o desarrollarse como se anticipaba.

La temporada oficial de huracanes comenzó el 1 de junio y concluyó el 30 de noviembre, siguiendo el patrón habitual en la región. Este año, el Atlántico experimentó una actividad ciclónica que, aunque por debajo de las expectativas más altas, dejó huella en varios países de América Central, el Caribe y la costa este de Estados Unidos.

  • 12 huracanes se formaron, de los cuales 4 alcanzaron la categoría 3 o superior, provocando daños significativos en algunas regiones.
  • En total, hubo 19 tormentas tropicales y 4 tormentas de categoría 1 y 2, siendo las de mayor intensidad aquellas que afectaron zonas como Cuba, Haití, República Dominicana y la península de Yucatán.
  • Sin embargo, a pesar de la cantidad de fenómenos formados, algunos sistemas que se habían previsto en los modelos meteorológicos como potenciales huracanes no lograron desarrollarse, y de las 14 tormentas predichas, 5 nunca llegaron a formarse.
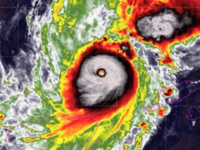
El Huracán Rafael, de categoría 3, causó graves daños en Artemisa, La Habana y Mayabeque / Especial

¿Por qué no se formaron más huracanes?

Uno de los puntos más interesantes del análisis de esta temporada es la discrepancia entre las previsiones y la realidad. Los modelos meteorológicos iniciales pronosticaron una actividad ciclónica más alta de lo que finalmente ocurrió, lo que se atribuye a varios factores:

  1. Fenómeno de El Niño: Este fenómeno climático afectó la formación de ciclones tropicales al alterar las condiciones de temperatura y presión en la atmósfera, lo que inhibió el desarrollo de algunos sistemas previstos.
  2. Corrientes oceánicas más frías de lo esperado: Las temperaturas superficiales del océano, fundamentales para el desarrollo de tormentas tropicales, fueron más bajas en algunas regiones clave, limitando la intensificación de los sistemas.
  3. Factores atmosféricos imprevistos: La interacción de varios sistemas meteorológicos, como vientos de cizalladura que impiden la organización vertical de los ciclones, también jugó un papel en la menor actividad registrada.