El Tiempo

Huracán Beryl evoluciona a Categoría 5 en el Mar Caribe

El Huracán Beryl, próximo a Jamaica, se transformó en un fenómeno de Categoría 5: según estableció el Centro Nacional de Huracanes con sede en Miami, Florida.

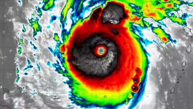
Así luce el Huracán Beryl en el Mar Caribe
Así luce el Huracán Beryl en el Mar Caribe / Twitter @FloridaTropics1

El Centro Nacional de Huracanes (NHC) de Estados Unidos reveló que el Huracán Beryl alcanzó la Categoría 5 dentro de la región este del Mar Caribe; además, lo catalogó como un fenómeno "potencialmente catastrófico" en su próximo camino hacia Jamaica.

Durante su más reciente actualización, correspondiente a las 20:50 horas del lunes 1 de julio de 2024, el organismo emitió su alerta número 14 acerca del Huracán Beryl; dado que recién modificó su intensidad mientras continúa con su trayectoria.

"Se espera que traiga consigo vientos muy peligrosos y marejadas ciclónicas sobre Jamaica al final de esta semana".

Centro Nacional de Huracanes de Estados Unidos

La Comisión Nacional del Agua (Conagua), que trabaja de cerca con el organismo situado en Miami, Florida, validó su reporte: a las 21:20 horas, aseguró que el centro del Huracán Beryl está 825 kilómetros al este-sureste de la Isla Beata de República Dominicana.

Recalcó que todavía no representa ningún tipo de peligro para los habitantes de la Península de Yucatán; pese a que actualmente se ubica a 2 mil 460 kilómetros al este-sureste de la ciudad de Cancún, Quintana Roo.

Aclaró que sus vientos máximos sostenidos son de 260 kilómetros por hora; sus rachas, de 315 km/h; su diámetro de ojo, de aproximadamente 28 kilómetros; sin evadir que sostiene un desplazamiento al oeste-noroeste a 35 km/h en las Antillas Menores del Mar Caribe.

FAR