Internacional

El Salvador declara emergencia nacional por Tormenta Tropical Pilar

El gobierno de El Salvador declaró emergencia nacional y emitió una alerta roja ante el paso de la Tormenta Tropical Pilar

Declaran estado de emergencia en El Salvador por paso de Tormenta Tropical Pilar
Declaran estado de emergencia en El Salvador por paso de Tormenta Tropical Pilar / Especial

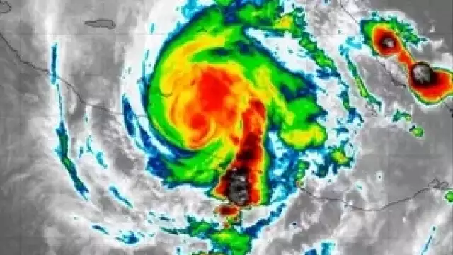
El gobierno de El Salvador emitió una alerta roja y declaró estado de emergencia en el país ante el registro de lluvias relacionadas con el paso de la Tormenta Tropical Pilar, la cual tocará tierra durante las próximas horas, esto de acuerdo con un informe emitido por Protección Civil.

El Congreso de El Salvador, por solicitud del presidente Nayib Bukele, declaró emergencia nacional en el país debido al peligro que representa este fenómeno meteorológico para el ecosistema, los servicios públicos, las viviendas y las personas que habitan distintas regiones que serán afectadas por Pilar.

En la declaración de emergencia, la Dirección General de Protección Civil adquiere la facultad de ordenar evacuaciones obligatorias a los sectores de la población que se encuentren en mayor riesgo, con el fin de proteger sus vidas y su seguridad.

La Policía Nacional Civil (PNC) del municipio de La Unión, en la zona oriente de El Salvador, dio a conocer que una mujer fue arrastrada por el río Anamorós y permanece desaparecida a pocas horas de que comenzaran a registrarse las primeras precipitaciones.

El Ministerio de Educación salvadoreño también tomo las medidas de precaución correspondiente ordenando clases virtuales y suspendiendo actividades académicas a nivel nacional. El gobierno de El Salvador, a través del ministro Juan Carlos Bidegain, informó que se han instalado 100 albergues para resguardar a los ciudadanos que lo requieran.

Alerta por evolución de Tormenta Tropical Pilar

El pasado domingo 29 de octubre, el Centro Nacional de Huracanes de Estados Unidos alertó la posibilidad de que la Tormenta Tropical Pilar evolucione a huracán en las próximas 48 horas y cause fuertes aguaceros sobre distintas zonas de El Salvador.

Las autoridades de este país suspendieron actividades como la pesca artesanal, industrial y deportiva y actividades recreativas cerca de ríos, playas y lagos hasta el próximo miércoles 1 de noviembre.

Lo anterior luego de que el Observatorio de Amenazas del Ministerio del Medio Ambiente y Recursos Naturales de El Salvador (MARN) alertara por una fuerte probabilidad de inundaciones y crecidas repentinas en distintos cuerpos de agua, además de posibles derrumbes.

Síguenos en Google News y recibe la mejor información.