México

El huracán ‘Rafael’, se intensificó a categoría 2: ¿Va a afectar las costas mexicanas?

Luego de su paso por Cuba, se esperaba que el huracán ‘Rafael’, tomara direccional con destino a Estados Unidos, aunque ahora se acerca a las costas mexicanas.

El huracán ‘Rafael’, se intensificó a categoría 2: ¿Va a afectar las costas mexicanas?
El huracán ‘Rafael’, se intensificó a categoría 2: ¿Va a afectar las costas mexicanas? / X/@conagua_clima

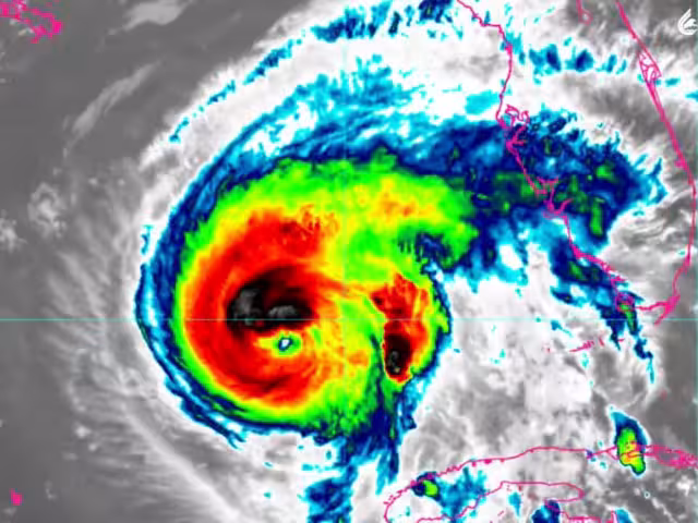
En las últimas horas, se dio a conocer que el huracán ‘Rafael’ ya es categoría 2 en la escala Saffir-Simpson. Además tuvo un importante cambio de dirección y ahora se aproxima a las costas mexicanas, así lo confirmó la  Comisión Nacional del Agua (Conagua).

Desde que se descubrió este fenómeno, se esperaba que el huracán ‘Rafael’, que su ruta fuera con destino a La Habana, Cuba, lugar que fue afectado por sus fuertes rachas de viento, pero que después se dirigiría a Florida, Estados Unidos.

Sin embargo, las cosas han cambiado de forma radical, ya que ha tomado otra dirección, la cual pone en riesgo a las costas mexicanas, pero sin probabilidad de tocar tierra, así lo ha conformado la Conagua.

Noticia Destacada

Nuevo rumbo del Huracán Rafael no representa riesgo para Campeche, pero se esperan lluvias

¿Cuál es la nueva ruta del huracán ‘Rafael’?

A las 12:00 horas, el centro de ‘Rafael’ se encontraba a 350 kilómetros al nor-noreste de Cabo Catoche, Quintana Roo, y a 370 km al oeste-noroeste de La Habana, Cuba.

Todavía mantiene vientos máximos sostenidos de 155 kilómetros por hora, rachas de 195 km/h y desplazamiento hacia el oeste-noroeste a 15 km/h.

Se sabe que ‘Rafael’ podría causar estragos en las costas de Campeche, Quintana Roo y Yucatán; las autoridades han recomendado seguir las instrucciones de Protección Civil y tomar las medidas de precaución.

Aquí te compartimos la trayectoria de Rafael:

  • Jueves 7 de noviembre: Va a seguir como huracán categoría 2.
  • Viernes 8 de noviembre: Se podría degradar a huracán categoría 1.
  • Sábado 9 de noviembre: Se espera que pierda fuerza y baje a tormenta tropical.