Yucatán

Así se inventan un huracán los yucatecos: VIDEO

Ante las críticas de Lady Huracán sobre la cultura de prevención de los yucatecos, se han creado videos de burla hacia la joven foránea

Lady Huracán ha desatado críticas en redes sociales
Lady Huracán ha desatado críticas en redes sociales / Especial

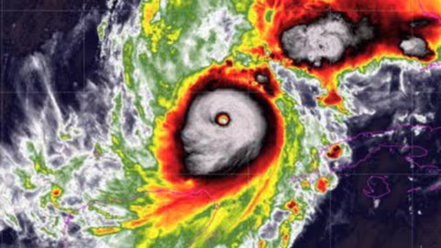
Recientemente, ante el paso del Huracán Milton categoría 5 cerca de Yucatán, surgió un video viral sobre una foránea, quien cuestionó sobre la amenaza de estos fenómenos meteorológicos, asegurando que son creados por los yucatecos para no ir a la escuela y trabajar, volviéndose viral y desatando críticas de los mismos locales.

Ahora, los yucatecos han usado sobre la creación de huracanes para seguir la burla hacia Sandra 'N', la responsable del video viral y nombrada Lady Huracán.

Noticia Destacada

Las foráneas más odiadas en Yucatán, quiénes son

Esto fue usado por un usuario de TikTok para seguir el chiste, al demostrar la forma en la que los yucatecos crean sus propios huracanes para no ir a trabajar o acudir a la escuela, suspendiendo actividades sin razón, tal y como aseguró Lady Huracán.

En el video, el usuario de TikTok expuso como se crea un huracán según Sandra 'N', al solamente elegir el día en el que se quiera descansar para suspender actividades.

Noticia Destacada

Lady Huracán genera polémica tras acusar a yucatecos de inventar huracanes

Señala que es mejor escoger una categoría hasta de 4 en la escala de Saffir-Simpson con el fin de que la clausura de actividades dure al menos 48 horas, y que el meteoro solamente roce a la entidad para no asustar a los ciudadanos.

Además, se burló de los nombres de los huracanes, usando el de su esposa para que 'dé más miedo', desatando risas en redes sociales.

En los comentarios, usuarios reconocieron el sentido del TikTok, siguiendo el hilo de la comedia y burla hacia Lady Huracán.