Síguenos

Última hora

Movilización policiaca y del DIF por caso de menor embarazada en la colonia Sainz de Baranda

México

Tormenta Tropical Pilar se localiza a 350 kms. del Río Suchiate

El Servicio Meteorológico Nacional informó que en la Península de Yucatán se espera para este miércoles cielo nublado la mayor parte del día

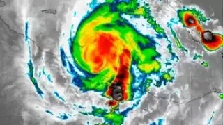
La Tormenta Tropical Pilar se localizó a 350 kilómetros (km) al sureste de la desembocadura del río Suchiate
La Tormenta Tropical Pilar se localizó a 350 kilómetros (km) al sureste de la desembocadura del río Suchiate / Especial

El Servicio Meteorológico Nacional (SMN), informó que el frente frío número 8 sobre el sureste de México continuará en interacción con la circulación de la Tormenta Tropical Pilar, por lo que se pronostica para este miércoles lluvias torrenciales en Chiapas, Oaxaca, Tabasco y Veracruz.

Además de intensas en Campeche y Quintana Roo; muy fuertes en Yucatán, y lluvias aisladas en Durango y Tamaulipas. 

Pilar se localiza a 455 km al sureste de la desembocadura del Río Suchiate

Noticia Destacada

Tormenta Tropical Pilar y Frente Frío 8 ocasionarán lluvias en Chiapas y Oaxaca

Las lluvias podrían venir acompañadas de descargas eléctricas

Noticia Destacada

Clima en Campeche: Tormenta Tropical Pilar provocará lluvias intensas este martes

A las 06:00 horas, tiempo del centro de México, Pilar se localizó a 350 kilómetros (km) al sureste de la desembocadura del río Suchiate, y a 175 km al sur-suroeste de San Salvador, El Salvador. 

Registró vientos máximos sostenidos de 95 kilómetros por hora (km/h), rachas de 110 km/h y desplazamiento hacia el noroeste a 2 km/h. 

Declaran estado de emergencia en El Salvador por paso de Tormenta Tropical Pilar

Noticia Destacada

El Salvador declara emergencia nacional por Tormenta Tropical Pilar

Tormenta tropical Pilar se forma al sur de frontera entre México y Guatemala

Noticia Destacada

Tormenta Tropical Pilar se forma al Sur de frontera entre México y Guatemala

El SMN señala que las precipitaciones pronosticadas estarían acompañadas de descargas eléctricas y condiciones para la caída de granizo.

Las lluvias de fuertes a torrenciales podrían ocasionar incremento en niveles de ríos y arroyos, desbordamientos, deslaves e inundaciones, por lo que se recomienda a la población atender las indicaciones de Protección Civil de su localidad.

Por otra parte, la masa de aire ártico que impulsa al frente ocasionará ambiente de frío a muy frío con posibilidad de heladas en zonas altas de los estados de la Mesa del Norte y Mesa Central.

Para el Valle de México se prevén durante la mañana bancos de niebla y ambiente de frío a muy frío. 

Habrá condiciones de cielo de medio nublado a nublado en el transcurso del día. Por la tarde se espera ambiente de fresco a templado, además de viento del norte y noreste de 10 a 20 km/h con rachas de hasta 45 km/h. 

La temperatura mínima pronosticada para la Ciudad de México es de 7 a 9 grados Celsius y la máxima de 20 a 22 grados. Para Toluca, Estado de México, se espera una mínima de 4 a 6 grados y máxima de 17 a 19 grados. 

En la Península de Yucatán se espera cielo nublado la mayor parte del día, ambiente templado durante la mañana, cálido por la tarde y descargas eléctricas en sitios con lluvia. Habrá evento de Norte fuerte con rachas de 50 a 70 km/h y oleaje de 1 a 2 m en costas de Campeche, Quintana Roo y Yucatán.

Síguenos en Google News y recibe la mejor información.

IO