Síguenos

Última hora

Campeche lidera cifra más baja de afiliados al IMSS en México: apenas 124 mil trabajadores

Quintana Roo

Restablecen el 19% de la electricidad en Quintana Roo por el paso de “Helene”

La CFE realiza labores para reanudar el servicio eléctrico al 100 por ciento en Quintana Roo

Más de 100 mil usuarios se han quedado sin electricidad en Quintana Roo
Más de 100 mil usuarios se han quedado sin electricidad en Quintana Roo / Especial

La Comisión Federal de Electricidad (CFE) avanza en las labores para restablecer el servicio eléctrico en Quintana Roo por el paso de la Tormenta Tropical Helene, donde se ha recuperado el suministro al 19 por ciento de los 122,889 usuarios afectados, representando un 14% del total del millón de usuarios en el estado.

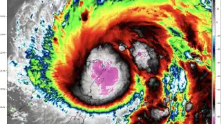
Helene alcanzará a convertirse en Huracán categoría 1

Noticia Destacada

Helene se convertirá en Huracán categoría 1 cerca de la Península de Yucatán; sigue su trayectoria en tiempo real

La CFE está en coordinación con las autoridades de Protección Civil, para determinar que no exista riesgo para la ciudadanía ni para el personal de la paraestatal, en las labores de restablecimiento y con todas las medidas de seguridad, por lo que se mantendrán las actividades hasta alcanzar la normalidad del suministro eléctrico de los usuarios afectados.

La CFE continúa con los trabajos en Quintana Roo
La CFE continúa con los trabajos en Quintana Roo / Especial

Se han dispuesto 472 trabajadores electricistas, 72 grúas, 147 vehículos, 7 plantas de emergencia, 7 torres de iluminación y 1 helicóptero, para la atención de la emergencia, aplicando los mecanismos para la oportuna toma de decisiones ante la afectación al suministro eléctrico ocasionado por el fenómeno natural.

Fuertes lluvias y vientos continúan en Cancún por la tormenta tropical "Helene"

Noticia Destacada

Fuertes lluvias y vientos continúan en Cancún por la tormenta tropical "Helene"

A través del Sistema Nacional de Protección Civil, la CFE está en plena coordinación con la Secretaría de la Defensa Nacional, la Secretaría de Marina, Comisión Nacional del Agua, Secretaría de Salud, Protección Civil, gobiernos estatales y municipales, para la atención de la posible contingencia.