Síguenos

Última hora

Detienen a sujeto en Playa del Carmen por su probable participación en el delito de extorsión agravada

Yucatán

“Nadie sabe cuándo seremos afectados por un Huracán intenso”: Meteorólogo de la UADY llama a estar al pendiente de la temporada 2025

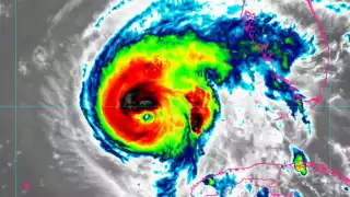
Yucatán no ha sido azotado por un Huracán intenso desde el 2002 cuando se registró el ingreso de Isidoro.

Hace más de 20 años que un huracán intenso no golpea la Península de Yucatán
Hace más de 20 años que un huracán intenso no golpea la Península de Yucatán / Por Esto!

Inició formalmente la Temporada de Huracanes, se prevé que en Yucatán, del 1 de junio al 30 de noviembre, lleguen cuatro fenómenos de intensidad moderada a fuerte con categorías 3, 4 y 5, informó el meteorólogo de la Universidad Autónoma de Yucatán (UADY) Juan Vázquez Montalvo.

Recordó que la entidad no ha sido víctima de uno de estos fenómenos meteorológicos desde aquel 2002 con el paso de Isidoro, que descargó en el territorio peninsular grandes cantidades de agua y vientos intensos durante más de 36 horas.

La Temporada de Huracanes 2025 dura cinco meses

Noticia Destacada

Inicia la Temporada de Huracanes 2025 en el Atlántico: ¿Cuántos podrían amenazar a la Península de Yucatán?

Los nombres de los huracanes del Atlántico, Golfo de México y el mar Caribe para 2025 son: Andrea, Barry, Chantal, Dexter, Erin, Fernand, Gabrielle, Humberto, Imelda, Jerry, Karen, Lorenzo, Melissa, Nestor, Olga, Pablo, Rebekah, Sebastein, Tanya, Van y Wendy, que se eligen, para diferenciarse, según las letras del abecedario.

Prevención

Vázquez Montalvo aseveró que es importante estar prevenidos desde este momento, pues no se sabe a ciencia cierta cuándo ni dónde nos impactaría uno de estos fenómenos naturales. “Nadie puede saber cuándo volveremos a ser afectados por un huracán intenso. El estado de Yucatán lleva 23 años sin afectación de un gran huracán categorías 3, 4 o 5 desde Isidoro, en 2002, y la península lleva 20 años, desde aquel Dean en 2005.

Se prevé la formación de entre 13 y 17 ciclones tropicales en el Atlántico

Noticia Destacada

Yucatán se declara preparado para el inicio de la Temporada de Huracanes 2025

El lapso de tiempo promedio que transcurre para que un huracán intenso azote el estado es de entre 11 y 12 años, y la región, de nueve a 10 años, informó el el experto.

El especialista recalcó que es importante tomar con cautela todas las alarmas que puedan encenderse hasta el 30 de noviembre. “Lo que sí es que debemos año con año prepararnos porque bastaría que se pronostique un huracán y nos afecte para decir que fue una mala temporada”, finalizó el meteorólogo de la Universidad Autónoma.