Internacional

Huracán Beryl toca tierra en Texas y deja 250 mil sin luz

El Centro Nacional de Huracanes de Estados Unidos, informó que el Huracán Beryl impactó Texas con vientos peligrosos y marejadas ciclónicas

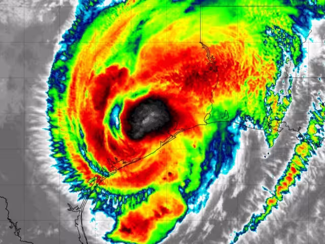
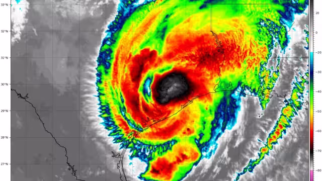
El Huracán Beryl de categoría 1 impactó este lunes en las costas de Texas
El Huracán Beryl de categoría 1 impactó este lunes en las costas de Texas / Especial

El Huracán Beryl ha tocado tierra en las inmediaciones de Matagorda, Texas, un popular balneario del condado homónimo, ubicado al suroeste de Houston, según informó el Centro Nacional de Huracanes (NHC) de Estados Unidos en un comunicado emitido a las 04:00 horas locales.

El NHC destacó que Beryl se desplaza tierra adentro sobre el este de Texas, generando peligrosas marejadas ciclónicas y lluvias torrenciales que representan un riesgo significativo para la vida. Además, los vientos dañinos continúan azotando la costa, manteniendo una situación de alerta máxima.

Noticia Destacada

Playa del Niño, la más afectada por recale de sargazo tras Huracán Beryl en Cancún

Beryl ha sido clasificado como un huracán de categoría 1, con vientos sostenidos que oscilan entre 74 y 95 millas por hora (119 a 153 km/h). Esta categoría implica vientos suficientemente fuertes como para causar daños considerables en estructuras, árboles y líneas eléctricas.

Cortes de energía y alertas de Tornado

Las autoridades anticiparon cortes de energía debido al impacto de Beryl. La madrugada del lunes 8 de julio, alrededor de 250 mil clientes en Texas estaban sin electricidad, según el sitio poweroutage.us. El Servicio Meteorológico Nacional mantuvo una alerta de tornado para diversas zonas del estado, incluida Houston, una ciudad con 2.3 millones de habitantes cercana a la trayectoria del ojo del huracán.

John Whitmire, alcalde de Houston, subrayó en una conferencia de prensa la gravedad de la situación: "Tenemos que tomarnos a Beryl muy en serio". A la madrugada del lunes, la ciudad estaba bajo intensas lluvias y fuertes ráfagas de viento. El alcalde y las autoridades locales aseguraron tener equipos de rescate preparados para actuar si fuese necesario.

Mientras as autoridades del condado de Nueces, donde se encuentra Corpus Christi, ya habían pedido a quienes veraneaban en sus playas que evacuaran la ciudad.

En tanto, el vecino condado de Refugio, que aún no se ha recuperado plenamente de los efectos del huracán Harvey en 2017, dispuso el sábado la evacuación obligatoria de sus habitantes.

En la ciudad de Port Lavaca, dueños de negocios protegieron con tablas los vidrios de sus establecimientos, mientras que Galveston, al sureste de Houston, emitió una orden de evacuación voluntaria para algunas áreas.

IO