Síguenos

Última hora

Senado aprueba en comisiones el Plan B electoral de Sheinbaum: estos son los cambios clave

El Tiempo

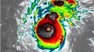
Huracán Beryl se mantiene en categoría 5; Quintana Roo continúa en Alerta Verde

El Huracán Beryl continúa su trayectoria hacia la Península de Yucatán, ingresando desde Quintana Roo como categoría 1 o 2

Las autoridades activaron la Alerta Verde ante la posible llegada del ciclón a la Península de Yucatán
Las autoridades activaron la Alerta Verde ante la posible llegada del ciclón a la Península de Yucatán / Por Esto!

La Coordinación Estatal de Protección Civil de Quintana Roo informó, con base en los datos emitidos por el Centro Nacional de Huracanes de Miami, Florida, Estados Unidos, que sigue la vigilancia para el océano Atlántico, mar Caribe y Golfo de México por Beryl que se ha intensificado a huracán de categoría 5 en la escala Saffir-Simpson. Su centro se localiza a 55 kilómetros (km) al noreste de Granada, y a 2 mil 880 km al Este-Sureste de Cancún. Presenta vientos máximos sostenidos de 260 km/h, rachas más fuertes y desplazamiento hacia el Oeste-Noroeste a 31 km/h. Por el momento no representa peligro para el Caribe Mexicano y en la Entidad se activó la Alerta Verde.

El fenómeno ya impactó las Antillas Menores, y se espera que para el jueves o madrugada del viernes pegue en la Península de Yucatán, según las proyecciones, pero esto se sabrá con mayor certeza en las próximas 48 horas, pues este sistema ha mostrado mucha inestabilidad por la zona donde se localiza y porque las aguas están por arriba de los 30 grados, es decir muy calientes, pero lo que se espera que en esos días cuando se acerque al mar Caribe, se degrade a categoría 2 y después a depresión tropical, pero según los pronósticos se esperan dos impactos de este mismo huracán, primero en Quintana Roo (el cuadrante peligros sería en dentro y Sur del Estado, pero el miércoles tendrán más actualizaciones) y luego entre Veracruz y Tamaulipas, posiblemente como categoría 1, pero la afectación será en al menos 8 o 10 estados de la República.

Esta será la trayectoria del Huracán Beryl

Noticia Destacada

¿Cuáles serán los puntos críticos en Quintana Roo por el Huracán Beryl?

Se espera un movimiento rápido y continuo de Beryl durante los próximos días a través del sureste y centro del Mar Caribe desde hoy hasta el miércoles.

En conferencia de prensa conjunta, la coordinadora general del Servicio Meteorológico Nacional (SMN), Alejandra Margarita Méndez Girón, informó que, a las 9 horas del centro del país, el centro del huracán se localizó sobre las Antillas Menores, y a 2 mil 800 kilómetros (km) al Este-Sureste de Cancún, Quintana Roo, con vientos de 220 kilómetros por hora (km/h) y rachas de 280 km/h, se mueve hacia el oeste-noroeste a 31 km/h y el diámetro del ojo es de 37 km.

Se pronostica que durante el jueves, continúe desplazándose hacia las costas de Quintana Roo
Se pronostica que durante el jueves, continúe desplazándose hacia las costas de Quintana Roo / Por Esto!

Detalló que, Beryl continuará desplazándose sobre el mar Caribe, a una distancia aproximada de 2 mil 600 km de las costas de Quintana Roo, y mantendrá desplazamiento hacia el oeste-noroeste, con vientos de 230 km/h y rachas de 280 km/h. Para el martes y miércoles, el huracán se desplazará sobre el mar Caribe donde encontrará viento fuerte en la altura, por lo cual, podría perder intensidad y degradarse a un huracán de categoría 2, en la escala Saffir-Simpson, con vientos de 165 km/h y rachas de 205 km/h. Durante el miércoles, continuará desplazándose al oeste-noreste, y se ubicará aproximadamente a 900 km al este de las costas de Quintana Roo.

Así luce el Huracán Beryl en el Mar Caribe

Noticia Destacada

Huracán Beryl evoluciona a Categoría 5 en el Mar Caribe

Se pronostica que durante el día jueves, Beryl continúe desplazándose hacia las costas de Quintana Roo, como un huracán de categoría 1 o 2, con vientos de 150 km/h y rachas de 205 km/h. A partir de este día sus bandas nubosas empezarán afectar los estados de la Península de Yucatán, donde se prevén lluvias torrenciales en Yucatán y Quintana Roo; intensas en Campeche, además de vientos de 110 a 130 km/h, oleaje de 4 a 6 metros de altura y posible formación de trombas marinas, además de lluvias de fuertes a muy fuertes en estados del sureste, oriente y centro de México.

De acuerdo con los pronósticos, si el huracán continúa moviéndose al oeste-noroeste, podría tocar tierra el jueves por la noche o madrugada del viernes sobre la porción centro-sur del estado de Quintana Roo, con vientos mayores a los 120 km/h, además provocará marea de tormenta sobre la costa de Quintana Roo y durante el viernes, Beryl cruzaria la porción centro-sur de la Península de Yucatán, para ingresar el día sábado al sur del Golfo de México como una tormenta tropical con vientos de 63 a 119 km/h, donde permanecerá el sábado y domingo, con una trayectoria hacia las costas de Veracruz y Tamaulipas

Por otro lado, se mantiene la vigilancia por la zona de baja presión asociada a una onda tropical, con 20% de probabilidad para desarrollo ciclónico en 48 horas y 50% en 7 días, se localiza al este-sureste de las Islas de Barlovento, aproximadamente a 5 mil 240 km. al este de las costas de Quintana Roo, y se desplaza hacia el oeste a una velocidad entre 24 y 32 km/h.

GC