Síguenos

Última hora

Senado aprueba en comisiones el Plan B electoral de Sheinbaum: estos son los cambios clave

Internacional

Devastadora Tormenta Beryl deja 8 muertos y 2.3 millones sin electricidad en Texas

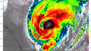
La Tormenta Beryl causó 8 muertes y dejó a millones sin electricidad en su paso por el estado de Texas en Estados Unidos

A su paso por Texas, Beryl provocó la muerte de 8 personas y miles de afectados por fallas del servicio eléctrico
A su paso por Texas, Beryl provocó la muerte de 8 personas y miles de afectados por fallas del servicio eléctrico / Especial

La Tormenta Tropical Beryl, que tocó tierra en Texas este lunes como Huracán, ha causado la muerte de al menos ocho personas y ha dejado a más de 2.3 millones de habitantes sin servicio eléctrico en una vasta región, incluyendo la ciudad de Houston.

Beryl no solo provocó graves daños en viviendas e infraestructuras, sino que también derribó numerosos árboles debido a sus intensos vientos. La tormenta generó inundaciones y marejadas, y desató una serie de tornados que agravaron la situación en Texas y áreas circundantes.

El Ciclón Tropical Beryl ha dejado una huella de destrucción en Houston, Texas, con inundaciones y daños severos.

Noticia Destacada

Beryl deja graves inundaciones y dos muertos en Houston, Texas

Las autoridades han confirmado que ocho personas han fallecido como consecuencia de Beryl. Entre las víctimas, se encuentran dos personas que murieron debido a la caída de árboles. En Houston, un empleado civil del Departamento de Policía perdió la vida tras quedar atrapado en una inundación en una avenida.

Además, en Luisiana, una persona murió por la caída de un árbol debido a un posible Tornado cerca de la ciudad de Benton. La cifra de fallecidos podría aumentar a medida que continúan los esfuerzos de búsqueda y rescate.

Esfuerzos para restablecer el servicio eléctrico

La compañía energética CenterPoint Energy, que provee servicio a los condados Harris y Fort Bend, espera restaurar la electricidad a al menos un millón de clientes en Texas para el final de este miércoles. Hasta el lunes, el suministro eléctrico solo había sido restablecido para menos de 300 mil clientes.

El apagón masivo ha agravado la situación en Texas, especialmente debido a las altas temperaturas pronosticadas para esta semana. Se espera que las temperaturas alcancen unos 40 grados centígrados (105 Fahrenheit), lo que empeora la situación sin servicio de aire acondicionado para los afectados por el apagón.

El Servicio Meteorológico Nacional (NWS, en inglés) ha alertado que en el oeste del país, alrededor de 40 millones de personas enfrentarán temperaturas superiores a los 100 grados Fahrenheit (unos 38 grados centígrados) durante los próximos siete días, lo que plantea un desafío adicional para las comunidades ya afectadas por la tormenta.

IO