Síguenos

Última hora

Senado aprueba en comisiones el Plan B electoral de Sheinbaum: estos son los cambios clave

México

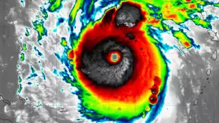
Así se ve Beryl, el poderoso Huracán categoría 5, desde el Espacio

El huracán Beryl continúa su trayectoria por la región del mar Caribe como un poderoso fenómeno categoría 5

Imagen del huracán Beryl tomada por satélites desde el espacio exterior
Imagen del huracán Beryl tomada por satélites desde el espacio exterior / Web

El huracán Beryl continúa avanzando por el mar Caribe como un fenómeno meteorológico catalogado en la categoría 5, esto luego de haber tocado tierra la mañana del pasado lunes en la isla Carri Gran en la región de las Granadinas.

Quintana Roo podría ser afectado por el Huracán Beryl

Noticia Destacada

AMLO llama a Quintana Roo a una evacuación ordenada

El Servicio Meteorológico Nacional mantiene vigilancia del Huracán Beryl

Noticia Destacada

Pronostican intensas lluvias y vientos fuertes para diferentes estados de la República

Diferentes satélites han capturado imágenes del huracán Beryl dando a conocer cómo se observa el ojo de este poderoso fenómeno desde el espacio exterior, dejando impactados a millones de internautas que se encuentran a la expectativa de los estragos que podría causar en México.

De acuerdo con la Comisión Nacional del Agua (Conagua) y con el Servicio Meteorológico Nacional (SMN), el huracán Beryl traerá para el miércoles vientos potencialmente mortales, así como marejadas ciclónicas en su paso cerca de Jamaica, aunque no está confirmado que el huracán toque tierra nuevamente en esta región.

A pesar de que durante su trayectoria Beryl no toque tierra, tendrá un impacto significativo y podría ocasionar múltiples estragos en las zonas cercanas al ciclón. Al respecto, el Centro de Operaciones de Emergencias (COE) ha incrementado las alertas en regiones de República Dominicana ante el paso del huracán.

¿Cuándo llega Beryl a México?

De acuerdo con el SMN, de momento el huracán Beryl no representa un problema para nuestro país, y se espera que este fenómeno meteorológico se debilite conforme continúa su trayectoria y mientras se acerca a la Península de Yucatán, cosa que podría suceder el próximo fin de semana.