
La Temporada de Huracanes 2025 continúa en la región del Atlántico, y hasta el momento continúa sin graves afectaciones; sin embargo, aún restan varios días para que llegue a su fin.
Y es que hasta la fecha se han formado seis sistemas tropicales con nombre en el Atlántico, Golfo de México y Mar Caribe: cinco tormentas tropicales, Andrea, Barry, Chantal, Dexter y Fernand, Gabrielle, Humberto, Imelda, Jerry, Karen, Lorenzo Y Melissa, y un huracán categoría 5, Erin, de los cuales ninguno representó riesgo para Yucatán.
Además, se han registrado ondas tropicales, que en combinación con vaguadas han generado lluvias dispersas en distintas zonas de la Península de Yucatán.
Al respecto, se reveló el pronóstico, el cual anticipaba la posible formación de entre dos y cuatro tormentas tropicales, de tres a cuatro huracanes categoría 1 o 2 y de dos a tres huracanes de gran intensidad, categorías 3, 4 o 5, por lo que se mantiene una vigilancia constante para garantizar la seguridad de la población.
Sin embargo, la situación de la Temporada de Huracanes 2025 en el Atlántico permanece fuera de peligro para la región peninsular.
Fin de la Temporada de Huracanes 2025 en el Atlántico
El 30 de noviembre llegará a su fin la Temporada de Huracanes 2025 en la región del Atlántico, y en un mes se mantendrá la vigilancia en caso de alguna amenaza a territorio mexicano.
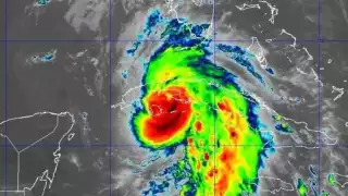
Actualmente, se mantiene la vigilancia de la Tormenta Tropical Melissa en el Caribe, la cual se prevé que aumente su fuerza hasta convertirse en Huracán categoría 3.
Aunque no se prevé amenaza en la región, desde la Península de Yucatán se realiza vigilancia permanente para conocer su evolución y trayectoria.