Síguenos

Última hora

Caos vial en CDMX y Edomex: piperos bloquearán vialidades por cierre de pozos de agua

El Tiempo

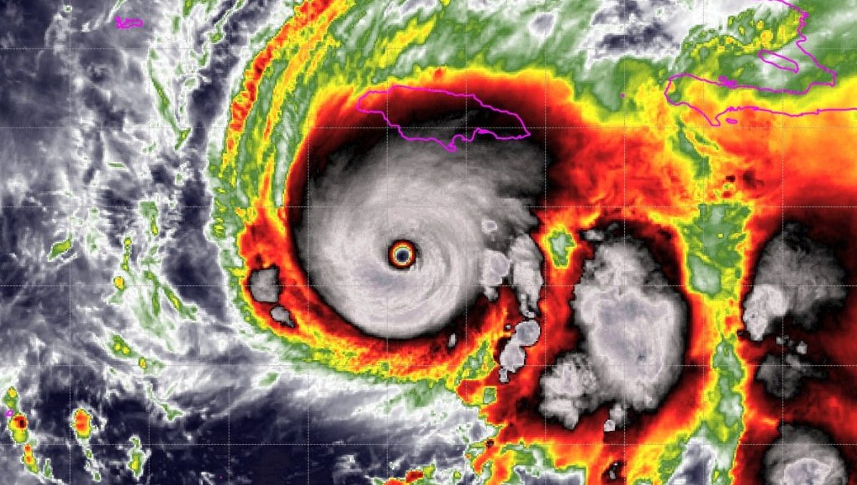
Melissa se convierte en un monstruoso Huracán categoría 5; tocará tierra en Jamaica en 24 horas

El Huracán Melissa tocará tierra en la costa Sur de Jamaica este martes 28 de octubre.
Melissa perdería fuerza al tocar tierra en Jamaica
Melissa perdería fuerza al tocar tierra en Jamaica / Especial

Melissa sigue su curso en el Caribe, ahora como Huracán categoría 5, mientras se espera que toque tierra en Jamaica en las siguientes 24 horas.

Se localiza 1,147 km al sureste del Estado de Yucatán; se desplaza al Oeste a 7 km/h con vientos de 260 km/h y rachas de 315 km/h.

Melissa se aleja de la Península de Yucatán

Noticia Destacada

Yucatán no se encuentra en riesgo por el Ciclón Melissa en el Caribe, pero continúa la vigilancia

Pronósticos indican que Melissa girará lento hacia el Noroeste y el Norte durante las siguientes 24 horas.

Tocará tierra en la costa Sur de Jamaica este martes 28 de octubre por la mañana y emergerá en la costa Norte durante la tarde del mismo día.

Toman medidas de seguridad en Jamaica

Jamaica ha comenzado el protocolo de seguridad por el ingreso del Huracán Melissa como categoría 5 en las siguientes 24 horas.

Autoridades vigilan a Melissa, que podría alcanzar categoría 5 y tiene una trayectoria errática en el Caribe

Noticia Destacada

Melissa sería uno de los huracanes más intensos del Caribe, alerta meteorólogo; pide a yucatecos mantener la calma

Los vuelos se han interrumpido, cerrando aeropuertos ante la amenaza de un desastre en las próximas horas.

De igual forma se han habilitado 800 refugios en la isla, y se han movilizado maquinarias en caso de ser necesario para liberar carreteras por deslaves e inundaciones.

Siguiente noticia

Melissa se convierte en un monstruoso Huracán categoría 4 en el Caribe; sigue su trayectoria EN VIVO