Síguenos

Última hora

Golpe a célula delictiva en Playa del Carmen: Detienen a seis integrantes de grupo delictivo

México

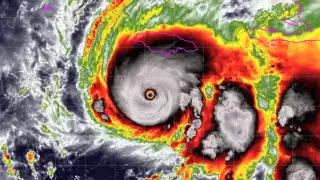
Así se ve el Huracán Melissa de Categoría 5 desde el espacio

Huracán Melissa alcanzó la categoría 5, siendo la más alta en la escala Saffir-Simpson y preocupa a los expertos.
Así se ve el Huracán Melissa de Categoría 5 desde el espacio
Así se ve el Huracán Melissa de Categoría 5 desde el espacio / X/@NHC_Atlantic

Desde hace unos días, el huracán Melissa ha encendido las alertas, pero hoy 27 de octubre de 2025, alcanzó la categoría 5, siendo la más alta en la escala Saffir-Simpson. 

Los expertos dicen que puede ser uno de los huracanes más fuertes en la historia del Caribe. Hace poco se publicó una imagen en donde se ve la forma y el tamaño que tiene desde el espacio. 

Melissa perdería fuerza al tocar tierra en Jamaica

Noticia Destacada

Melissa se convierte en un monstruoso Huracán categoría 5; tocará tierra en Jamaica en 24 horas

¿Cuáles son las características de los huracanes categoría 5?

De acuerdo con los expertos en la materia, los fenómenos que alcanzan la categoría 5, tienen vientos que cuentan con la fuerza de tirar paredes y techos de construcciones ligeras, también causan daños en la vegetación y las playas. 

Sin embargo, uno de los puntos que más puede llegar a preocupar a la población, son las fuertes lluvias que generan, las cuales llegan a ocasionar el desbordamiento de ríos y arroyos. 

El huracán Melissa es el quinto que alcanza la categoría 5 en esta temporada de huracanes en el Atlántico, la cual termina el próximo 20 de noviembre. 

¿En dónde está el huracán Melissa hoy?

La Comisión Nacional del Agua (CONAGUA), reportó que el huracán Melissa se encuentra a 230 kilómetros al sur-suroeste de Kingston, Jamaica y a 1,090 del este-sureste de Cancún, Quintana Roo.

Siguiente noticia

Muere el secretario de Gobierno de Morelos, Juan Salgado Brito