Síguenos

Última hora

Carmen reprueba en seguridad con Pablo Gutiérrez: ENSU revela miedo creciente por violencia en la Isla

Quintana Roo / Cancún

"Helene" comienza a causar estragos en Cancún y Puerto Morelos

Se registraron caídas de árboles y un accidente vehicular que fueron atendidos por el Cuerpo de Bomberos

"Helene" comienza a causar estragos en Cancún y Puerto Morelos
"Helene" comienza a causar estragos en Cancún y Puerto Morelos / POR ESTO!

Como la Comisión Nacional del Agua (Conagua) había anunciado, de manera puntual ha comenzado a llover en partes de la Entidad, así como los fuertes vientos ya han causado estragos en Cancún y Puerto Morelos, donde Elementos del Heroico Cuerpo de Bomberos, ha apoyado también en siniestros sobre la carretera.

Más de 100 mil usuarios se han quedado sin electricidad en Quintana Roo

Noticia Destacada

Restablecen el 19% de la electricidad en Quintana Roo por el paso de “Helene”

Debido a las lluvias y vientos fuertes, se registraron caídas de árboles
Debido a las lluvias y vientos fuertes, se registraron caídas de árboles / POR ESTO!

En los primeros minutos de este miércoles, los cuerpos de rescate se mantienen activos ante cualquier eventualidad que pueda surgir, tras el paso frente a las costas de Quintana Roo la Tormenta Tropical "Helene", la cual se espera durante la madrugada, su trayecto sea muy cerca de las costas, sin descartar que pudiera impactar cerca de Cozumel y Cancún.

Debido a ello, los fuertes vientos han comenzado a causar pequeños estragos en Benito Juárez y Puerto Morelos, en este último donde se ha reportado la caída de dos árboles, auxilios que fueron atendidos por bomberos y un accidente vehicular ocurrido a la salida de dicha cabecera municipal.

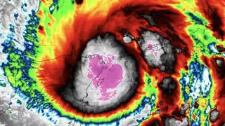
Helene alcanzará a convertirse en Huracán categoría 1

Noticia Destacada

Helene se convertirá en Huracán categoría 1 cerca de la Península de Yucatán; sigue su trayectoria en tiempo real

Bomberos acudieron a un accidente vial
Bomberos acudieron a un accidente vial / POR ESTO!

En Cancún, una luminaria sobre el puente vehicular que cruza la avenida Bonampak con dirección a Puerto Juárez, no logró sostenerse y cayó, por suerte fue hacía el carril contrario cuyo muro de contención logró detener evitando impactará algún auto que cruzaba por debajo.

Las brigadas conformadas por Bomberos y Protección Civil, permanecen alerta, así como autoridades municipales quienes realiza recorridos por cualquier auxilio que llegue a surgir.